文章资讯
河源地名来历(河源地名来历是什么)
东江自北向南流经河源市区,新丰江从西向东绕城而过,两江在河源市 区东面交汇,使得整个河源市区三面环水,因而得名河源。
五行缺木女孩名字大全 五行缺金缺火的女孩名字大全集
1、木枫、晴楚、薇诗、莼珍2、未柏、甜楟、芬沁、菀琌 3、朵栩、茜楠、芭雯、菁歆 4、杉桂、秀楦、芯霏、菅玗 5、杏桐、妮楹、花涛、菇玟 6、材桑、恋榕、芳淑、菘珆 7、杞桓、珑槿、芷宁、菡珊 8、杨桦、俪雅
白玫瑰(白玫瑰花语)
1、天真:白玫瑰看起来很纯净,让人感觉它没有沾染一点杂质,所以它就有了天真、纯洁的花语。2、浪漫:白色的花朵看起来都十分的高贵,它也象征着浪漫,所以也经常在婚礼上出现。3、纯洁的爱:它不像红色玫瑰那样热烈,也不像蓝色玫瑰
新车年审需要什么资料 新车年审需要什么资料和材料
新车年审需要携带行驶证、身份证复印件、交强险副本。然后车主本人就可以带好行驶证、交强险保单去车管所专门负责年检的窗口申领年审标识。申领前一定要先去把违章处理掉,不然不能通过的。不过,如果车辆在免检期内发生过人伤等重大交通事故的,会取消免检资格,恢复每年上检测审车的手续。
在职研究生和全日制研究生的区别(在职考研的条件和年龄限制)
全日制研究生的上课方式是周一到周五,属于学历教育,需要学员脱产式学习。而在职研究生的上课方式比较灵活,可以选择周六日、节假日、网络授课等。
一条烟有多少包(一条烟多少钱)
十包。一条烟里面有十包烟,一包烟里有20支烟。烟盒所采取的是黄金分割,装二十根不多不少。香烟在烟盒内是三行排列的,如果三行一样多,三个直径相加烟盒就要做宽一些,容易互相挤扁,所以一盒香烟是上下各7支中间形成6个空间。
男生英文名字简单气质 男孩英文名 勇敢 自信 阳光
1、简单有气质的男生英文有:Tom、Mark、Jay、Jack、Terry、Harlan、Holden、Luke、Bowen、Reece、Hugh、Ken、Jason、John、Brian、Ryan、Jim等等。2、英文
女孩的名字大全气质 女孩的名字大全气质高雅
1、希彤 安林 雅雅 妙薇 菲美 晓诗2、璐昕 语祖 希甜 倩淇 以筱 盈青3、欣雅 悦妙 采菡 露莹 若倪 倩晓4、雅可 彤妍 薇洁 诺黛 紫婷 滢姗5、淇汐 倩慕 馨颖 幼丝 璇娅 怡希6、林雪 倩双 兰洁 竹佳 薇
超纤皮是什么材质 超纤皮是什么材质和PU区别
1、超纤皮是超细纤维PU合成革的简称,是超细纤维短纤通过梳理针刺制成三维结构网络的无纺布,再经过湿法加工、PU树脂含浸、碱减量、磨皮染整等工艺最终制成超细纤维皮革。2、超纤皮是在PU聚氨酯加入超细纤维,使得韧性和透气性、
什么属相不能佩戴象牙 五大生肖不适合戴玉
1、对于属相来说,属猴和属鸡都不适合。因为属猴和属鸡的五行属金,与象牙的五行属性相克。所以属猴、属鸡这两个属相不能佩戴象牙,有相克之嫌。2、据说象是阳气极盛的动物,对于多见阴邪的地方,更显驱邪的功能。象牙又是象身上最坚固
做梦梦见猫 做梦梦见猫生了一窝小猫是怎么回事
1、梦见猫,意味着近期在人际相处中比较一帆风顺,但也不要在维系人与人之间的关系中过于懈怠。能够帮忙的地方给予他人及时的帮助有助于行好运。2、梦见猫,意味着最近事业上可能会有起色,因此,在工作中应该把握好机会。
朗朗上口的男生英文名 朗朗上口的男生英文名字
1、朗朗上口的男生英文名有:Andrew、Armand、Adrian 、Albert、Allen、Barton、Brian、Bruce、Charles、Baron、Conrad、Colin、Clark、Carl、Dick
地黄怎么种植(地黄种植几年才能收获)
1、土壤:地黄喜欢肥沃的土壤,黏性的红土壤跟黄土壤是不行的,一般选用沙质土壤来种植是最适合的。2、水分:地黄的吸水性差根系少,水分过多会造成其根茎的腐烂,只要保持土壤的湿润就可以了,浇水次数要少。不要有积水的出现,在遇到
去蒙古包做客过夜注意事项 去蒙古包里做客需要注意些什么
1、蒙古包的东侧是留给女主人睡的地方。这点一定非常注意。当然如果有单独的蒙古包更好。内地有些对草原上蒙古包坐客,要注意不要踩牧民的门槛。还有,不要在火盆上跨过。吃饭时,不要把刀尖对着主人。坐的位置也很有讲究,男的坐左边,
在家怎么种桑黄 在家怎么种桑黄′药材并取回收多少钱斤
1、种植条件在家里种植桑黄要注意环境方面,一般在二月中下旬就开始制袋,三四月份就要栽培菌袋开始养菌。还要很好的控温,保湿。温度最好在23到25度之间,湿度在60%-65%之间。2、准备工作提前准备出菇架,长度在2.5米左
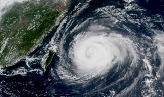
15级的台风有什么特征 15级台风是什么概念
1、15级台风即强台风,是指中心附近最大风力14-15级(41.5-50.9m/s)的热带气旋。当强台风继续加强,会成为超强台风,如果强台风的强度减弱,会成为台风。2、损毁性严重,对不坚固的建筑物、架空的各种线路、树木、
笔名女生古风 笔名女生古风诗意二字
1、【素笺淡墨】“素”指白色,“笺”是纸张。取这个笔名突出了作者的个人特点和喜好习惯,纯白的纸上有淡淡的墨痕,给人一种雅致古典的意味,清冷孤傲中又让笔名带出了一种文人的艺术气息,也特别符合女生的品味和素养,而且充满了孤傲
梦到自己掉牙 梦到自己掉牙齿不疼不流血
1、梦见自己掉牙了,预兆着近期梦者的运势尚可,财运普通,会让机会溜走,应酬开支依然较大,容易和朋友发生财务方面的纠纷,建议谨言慎行,把握好机会。2、本命年的人梦见自己掉牙了,平顺如意,一切依理行事,得名利双全。3、恋爱中
富贵竹黄叶子怎么补救(富贵竹黄叶子怎么补救图片)
1、提高温度:富贵竹的叶子发黄了,可以考虑一下是不是温度的原因。富贵竹喜欢高温,属于热带植物,耐不住低温的生长环境。当周边温度低于10度时,可能会引起冻伤,出现大量的黄叶。可以将富贵竹移到温暖处养护,提高温度,促进叶子变
龙睛金鱼怎么养(龙睛金鱼怎么养活)
1、水温。养殖龙睛金鱼的水温一般要求在10℃-20℃之间。当温度太低时,龙睛金鱼会休眠,当温度太高时,会影响龙睛金鱼的食欲,影响生长速度。 2、溶解氧。养殖龙睛金鱼需要注意水量的溶解氧。当溶解氧缺时,龙睛金鱼会浮上水呼
家里的灰尘是怎么形成的(家里的灰尘是怎么形成的图片)
1、人类活动导致:家中有人在就会有灰尘,微小的灰尘是肉眼看不见的,它简直无孔不入。我们的日用品、衣服等都带有灰尘。比如你从外回家,衣服在外面的环境中早已沾上了灰尘,回到家中不换衣服坐在沙发、床上都会有灰尘,脱衣服的时候也
社保卡是什么 社保卡是什么意思
1、个人社会保障相关信息记录、电子凭证和信息查询等。2、记录参保人员姓名、身份证号码、出生年月、性别、民族、户籍所在地等基本信息。3、查询本人养老、失业、医疗、工伤和生育保险缴纳情况;可持卡到医院就医,到药店买药;办理医
新都桥海拔高度是多少米(四川新都桥海拔高度是多少米)
新都桥海拔高度约3300米。新都桥并不是一座桥,而是一个小镇的名字。新都桥镇隶属于四川省甘孜藏族自治州康定市,地处康定市折多山以西、川藏线南北两路分岔口的立曲河中游,东靠瓦泽乡,南接呷巴乡,西与雅江县接壤,北与塔公乡毗邻。 因为这个小镇位于川藏线上,来往旅客多,逐渐被摄影家发现了此处非常绝美的“10余公里摄影胜地”。
公积金缓交是什么意思 住房公积金缓交政策
公积金缓交其实就是指暂时停止缴纳公积金。当工作单位办理了公积金缓交以后,工作单位就可以暂时不需要为职工缴纳公积金,并且也不会被视为逾期处理。当工作单位需要办理公积金缓交的时候,应该携带相关的材料前往当地的住房公积金管理中心进行办理。
裸婚什么意思(夜场为什么女的难怀孕)
“裸婚”是指不办婚礼甚至没有婚戒而直接领证结婚的一种简朴的结婚方式。“裸婚”是2008年兴起的网络新词汇。“裸婚”也可以理解为没有婚礼的结婚,婚礼的概念在年轻一代人眼中越来越薄弱,他们更注重两人的感情,更想要一个独立且自由的婚姻。
面粉1355和8607区别(中国最好的面粉排名表)
面粉1355和8607区别:1、1355指中筋面粉,8607指高筋面粉。2、高筋面粉的蛋白质含量比中筋面粉的高。3、中筋面粉为乳白色,高筋面粉颜色较深。4、中筋面粉适合用来做包子、饺子、馒头和面条,高筋面粉适合用来做松饼、泡芙、水果蛋糕等。
t型热电偶的正负极判断 t型热电偶原理
一般热电偶红色一段为正极,其他颜色线就是负极。测量温度时,正极输出正电势,负极输出负电势。T型热电偶即铜康铜热电偶,正极为纯铜,负极为铜镍合金,称之为康铜。T型热电偶优点是复制性好,传热快,稳定性、均匀性好。
灭火器的使用方法分为四步分别是 灭火器的使用方法和分类
灭火器的使用方法分为四步分别是提、拔、瞄、压。“提”指手提灭火器的提把,让灭火器保持水平垂直的状态,“拔”指拔掉灭火器保险销,“瞄”指将灭火器的喷管瞄准火源,“压”指压住灭火器的开关,让灭火器喷出干粉灭火。
景颇族的主要风俗是什么(景颇族的风俗是什么?简单概括一下)
景颇族热情好客,客人进家,无论认识与否,主人都会招待食宿。景颇族喜欢喝烧酒和自制的水酒。景颇人喝酒十分注重礼节,主人递上酒筒,客人要用双手托住酒筒的底部,不能只用一只手抓住酒筒的上部。饮酒时,不能抬着酒筒喝,只能用酒筒盖盛酒喝。
工作岗位有哪些 社区工作岗位有哪些
公司日常的工作岗位有秘书、会计等;一般销售公司的岗位有销售总监、销售经理、区域销售经理、销售主管、销售工程师、销售代表等;另外还有软件工程师、硬件工程师、UI设计师、网络运营维护、网站运营、教师、警察、军人、快递员、公交司机、出租车司机、医生等。
